Kenny your system is one of the "exceptions" in my mind. I don't know what to attribute it to. You were high in nutrients, and you had and aged system, but you also had 5 kessils over a 75g. No question your results are awesome.
Good memory and observation Richie. Main reason I went with Kessils (and orphik's DIF pedants 100w but gave it up cos it was too big) were due to the nature of single point light source. If you have gone underwater diving or snorkeling at the tropics, and as you look up, you only see the sun. That's the type of light source these single point lights are trying to imitate.
My tank was indeed high in nutrient (input), but also high in nutrient export (4ft long fuge and a 300g-rated skimmer). I believe in the long run it's the same as a tank with low nutrient input but also low nutrient export. I believe the key is balance: nutrient input = nutrient export. As long as those two items on both sides are the same, doesn't matter what lights or skimmer you have. That's something we all have to dial in with time.
I think we focus a lot more on gadgetry in the hobby than water chemistry. I've seen a guy named Mike in LI (he lost his tank during Sandy) who was running old school T12 with high kelvin and his SPS was as colorful as someone with 20k Radium MH. He had the bluest oregon tort I've seen and we all know they need intense light to stay that blue.
Goes to show at the end, light is light (I think Sanjay once said that). And it's been long said that SPS can adjust to a wide range of light intensity.
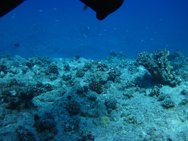
Here's a picture of me diving in ~100ft of water. You can tell the corals extend way below that. None of the shots have been altered except to be resized.

Here's a picture of me diving in ~60ft of water. Acros strewn the bottom and beyond.

And for comparison, here's me snorkeling in less than 10ft of water using the same camera to give a sense of light penetration difference. The deeper shots had more blue as other spectrums get absorbed as you go deeper. I should also mention that I didn't see maxima clams or anemone occur beyond 30ft of water. And the maximas only occur on rocks, not sand. That should tell us something about where we should place our maximas.


There were also acros in 5ft of water as well. Goes to show how they adapt to a wide range of light intensity in the wild. And it is imo that LED works just as well as MH, T5, even T12 and other lights you can think of, as long as your water chemistry is good and stable.



